-
6 Archivos adjunto(s)
Ruby
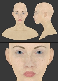
Introduction. Modeling. I modeled the head poly by poly using the images of Liliana as a reference since it provides a base Mesh with nice loops. I start at the no sé and then move onto the eyes, mouth, chin, jaw, ears and finally i close the bak of head. So this is básically my workflow for the head, when i have this base done i start todo tweak the proportions and work with Sculpt tools todo get the look i want.
Archivo adjunto 170901
For the eyes i used two sepárate Spheres and then i modeled the córnea, iris and pupil. I a los modeled the eyelashes but instead of using Hair for this, y used small cilindros and just duplicated and tweaked them. Y ou could do this using the texture for.
Your front view reference applied todo your model. Just do a projection from view in front view, this bien you have the position of your eyelashes and you can postura your cilindros. I learnt this trik in a col book from Ballistic called the face.
Archivo adjunto 170902
Texturing.
I used the images of Liliana todo make the textures of Ruby as well. First, y used Texture Paint with Project from view UV mapping and Painted the images of the front and side view on the Mesh. So now we have a base texture on the main UV map that was created before, After this i go todo the Gimp and start working on the Diffuse texture. I copy and paste the god parts of the textures todo improve some bad áreas. I rarely use the clone stamp because if you arent really god with this, its easy todo screw up your texture. When the texture is done, y use the sharpen filter todo bring out the details, y worked with 4que images for the Diffuse and Bump maps and 2que images for the other maps.
Archivo adjunto 170903
Material.
To make the Skin Shader i created a material node with four s layers and an extra two layers for specularity. The four s layers are for the overall color, epidermal, sub-dermal and bak scatter while the other two are for the software and hard Specular, y a los used one more s layer for the eyes as this Will give them a lot of realism.
Archivo adjunto 170904
Hair.
The Hair was made in Blender, using the children method as Hair particles. This bien gives you more control because the children Will follow the Hair particles exactly, you could a los Grab the particles and put them where you want. Since theyre linked todo the particles, just unchek the root option in tool bar, then start todo comb and tweak.
Archivo adjunto 170905
Lighting.
For the lighting i wanted todo give Ruby a Calm lok, so i used a more Diffuse illumination setup. For this i used two spot lights at the front of her, one spot at the bak as bak light and one more spot turned todo background todo create a kind of Bloom effect. There is one trik i used in lighting. I created two big planes and linked them todo the two front spots, then i created a white material with Self Illumination for the planes. So this bien you have some faq reflections like área lights that you could se in the eyes.
Archivo adjunto 170906
Compositing.
The composition i made is simple, y just rendered thre passes: Z Depth, Specular and Ambient Occlusion. First i adjust the contrast and saturation, then i adjust the Specular and Ambient Occlusion, After this i applied effects like Glare and defocus. One of the tricks i used is todo use the Z Depth map todo control the background separation without rendering another layer, todo do this just connect the z pass in the factor of any node. The colorramp was used todo control and adjust the maps like Ambient Occlusion or Z Depth.
-- IMÁGENES ADJUNTAS --
https://foro3d.com/attachment.php?attachmentid=170901
https://foro3d.com/attachment.php?attachmentid=170902
https://foro3d.com/attachment.php?attachmentid=170903
https://foro3d.com/attachment.php?attachmentid=170904
https://foro3d.com/attachment.php?attachmentid=170905
https://foro3d.com/attachment.php?attachmentid=170906